안녕하세요. 울산 중구 동물병원 라온동물메디컬센터입니다.
우리 강아지가 뒷다리를 절뚝거리거나 제대로 걷지 못한다면, 보호자님의 마음은 무너질 수밖에 없습니다. 특히 활발한 아이에게 흔히 발생하는 십자인대 파열 진단을 받고 TPLO(Tibial Plateau Leveling Osteotomy) 수술을 결정하셨다면,
수술 후 회복 과정에 대한 기대와 걱정이 교차하실 텐데요.
그런데 여기서 한 가지 주의해야 할 점이 있습니다. 바로 강아지의 비만입니다. 강아지 비만은 단순히 외모의 문제를 넘어 수술 후 회복 속도와 결과에까지 심각한 영향을 미칠 수 있습니다. 이번 글에서는 비만한 강아지가 TPLO 수술 후 왜 회복이 더딘지, 그리고 성공적인 재활을 위해 보호자님이 무엇을 할 수 있는지 자세히 알려드리겠습니다.

TPLO 수술이란?
TPLO 수술은 강아지의 십자인대 파열을 치료하는 데 있어 가장 널리 사용되고 효과적인 수술 방법 중 하나입니다. 십자인대가 파열되면 무릎 관절의 불안정성이 커져 뼈끼리 부딪히고 관절염이 급속도로 진행됩니다.
TPLO 수술의 원리는 파열된 인대를 직접 재건하는 대신, 정강이뼈(경골)의 경사면(Tibial Plateau) 각도를 조정하여 보행 시 무릎 관절에 가해지는 전단력(앞으로 밀리는 힘)을 줄이는 것입니다. 이를 통해 관절의 안정성을 확보하고 통증을 완화하여 빠른 회복을 돕습니다. 수술 성공률이 매우 높지만, 수술 후 재활 관리가 회복에 결정적인 역할을 합니다.
비만 강아지가 TPLO 수술 후 겪는 어려움
강아지 비만은 단순한 체중 증가를 넘어, 수술 후 회복 과정에 여러 가지 악영향을 미치는 만성 염증 상태를 유발합니다. 살이 찐 강아지에게 TPLO 수술 후 회복이 더딘 핵심적인 이유들을 꼼꼼히 짚어보겠습니다.
관절과 임플란트에 과도하게 집중되는 하중
비만 강아지의 늘어난 체중은 수술 부위인 무릎 관절과 뼈를 고정하기 위해 삽입된 금속 임플란트(플레이트와 나사)에 엄청난 부담을 줍니다.
📍뼈의 치유 지연
수술 후 뼈가 완전히 붙는 골 유합 과정에 지속적인 압력과 스트레스가 가해져 뼈의 치유 속도가 늦어집니다.
📍임플란트 합병증 위험 증가
과도한 하중은 나사의 풀림(loosening)이나 임플란트 파손과 같은 기계적 합병증의 위험을 현저하게 높여 재수술을 해야 하는 상황이 발생할 수 있습니다.

전신적인 만성 염증 상태와 통증 관리의 어려움
지방 조직은 단순히 에너지를 저장하는 곳이 아닙니다. 아디포카인(Adipokine)이라는 염증성 물질을 분비하여 온몸에 만성적인 저강도 염증을 유발합니다.
📍염증 지연
수술 부위의 염증 반응이 비만으로 인해 전신적인 염증과 합쳐져 쉽게 가라앉지 않고, 정상적인 회복 과정을 방해합니다.
📍통증 악화
만성 염증은 수술 통증을 더욱 민감하게 만들고, 통증으로 인해 강아지가 수술 다리를 사용하지 않으려는 경향이 강해져 근육 위축을 가속화합니다.
재활 운동의 제약과 근력 회복의 어려움
TPLO 수술 후 성공적인 회복의 80%는 계획적인 재활 운동에 달려 있습니다. 하지만 비만 강아지는 여러 가지 면에서 재활에 제약이 많습니다.
📍움직임의 불편함
늘어난 체지방 때문에 관절의 가동 범위가 줄어들고, 움직임 자체가 비효율적이며 힘들어집니다.
📍근육량 감소와 회복 지연
통증과 움직임의 제약으로 이미 수술 전부터 뒷다리 근육이 많이 위축된 경우가 많습니다.
재활 과정에서 근육을 효과적으로 강화하기가 어렵고, 근력 회복 속도가 느려집니다.

TPLO 수술 후 빠른 회복을 위한 보호자의 역할은?
TPLO 수술 후 강아지의 빠른 회복을 위해서는 수의사의 전문적인 수술과 더불어 보호자님의 헌신적인 관리가 필수적입니다.
특히 비만 강아지라면, 체중 관리가 회복의 최우선 과제가 되어야 합니다.
체중 감량 계획 세우기
TPLO 수술이 예정되었다면, 수술 전부터 적극적인 체중 감량을 시작해야 합니다. 수의사와 상담하여 목표 체중을 설정하고, 저칼로리 처방식 사료로 교체하는 것이 좋습니다. 수술 전에 이미 어느 정도 체중을 줄여 놓으면 수술 후 관절에 가해지는 초기 부담을 크게 줄일 수 있습니다.

정해진 재활 루틴 지키기
수술 직후에는 활동 제한이 매우 중요합니다. 케이지 내 안정을 철저히 지켜야 하며, 정해진 시기에 맞춰 수의사가 지시한 관절 운동(ROM) 및 물리 치료를 조심스럽게 시작해야 합니다.
- 절대적 안정 (수술 직후 2주): 과도한 활동은 금물입니다.
- 점진적인 산책: 회복 단계에 맞춰 산책 시간과 거리를 점진적으로 늘려나갑니다.
- 전문적인 재활 치료: 수중 트레드밀, 레이저 치료 등 전문 재활 치료가 회복 속도를 월등히 높일 수 있습니다.
통증 관리 챙기기
수의사가 처방한 소염진통제(NSAIDs)를 정해진 용량과 기간 동안 정확하게 급여하여 통증을 효과적으로 관리해야 합니다.
통증이 줄어야 강아지가 다리를 사용하는 것에 대한 거부감이 줄어듭니다. 또한, 글루코사민, 콘드로이틴, 오메가-3 등의 관절 영양제는 염증 완화와 연골 보호에 도움을 줄 수 있습니다.
중형견 TPLO 수술 케이스
문진
환자는 평소 활발하고 산책을 좋아하는 12kg의 중형견입니다. 과거 우측 슬개골 탈구 수술, 좌측 십자인대 단열로 낭외고정수술을 받은 이력이 있었지만 이후에는 꾸준히 양호한 보행을 유지해오다 최근 오른쪽 뒷다리에 체중을 싣지 못하고 절뚝거림이 심해져 내원하였습니다.
십자인대 단열 진단

방사선 촬영 결과, 우측 십자인대 완전 파열과 무릎 관절의 퇴행성 관절염 소견이 함께 확인되었습니다. 보행 시 무릎이 흔들리며 통증이 동반되는 상태로, 정상적인 활동을 위해 TPLO 수술이 필요했습니다.
💬 TPLO 수술은 경골의 경사각을 교정해 십자인대가 없는 상태에서도 무릎이 안정적으로 작용하도록 도와주는 수술법으로,중·대형견의 십자인대 단열 치료에 널리 사용됩니다.
강아지 TPLO 수술
수술 전에는 혈액검사와 흉부 방사선 검사 등 마취 전 검사를 진행했습니다.



혈액검사 사진 / 출처: 라온동물메디컬센터
특이 소견이 없음을 확인한 뒤, TPLO 수술이 시행되었습니다.
💬 라온동물메디컬센터에서는 정형외과 전용 시뮬레이션 프로그램을 사용하여 경골의 각도, 절골 범위, 나사 위치를 정밀 계산한 후 수술을 진행합니다.

수술사진 / 출처: 라온동물메디컬센터


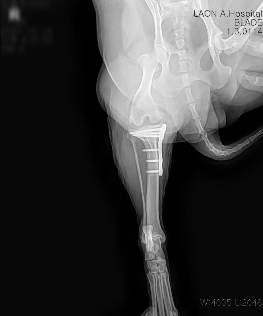
수술 후 방사선 사진/ 출처: 라온동물메디컬센터
수술은 마취 안정 하에 무사히 완료되었고 절개 부위 봉합 후에는 감염 예방과 부기 완화를 위한 처치가 이어졌습니다.
강아지 TPLO 수술 후 재활
환자는 수술 후 약 8일간의 입원 치료를 진행했습니다. 초기에는 통증 조절과 부기 완화에 중점을 두었으며, 이후 점차 관절 가동성과 근육 회복을 위한 재활치료가 병행되었습니다. 레이저 치료는 수술 부위의 혈류 개선과 부종 감소, 통증 완화, 상처 회복 촉진에 도움을 주어, 환자의 초기 회복을 빠르게 앞당길 수 있었습니다. 단계별 재활 과정을 진행하며 오월이는 점차 정상 보행을 회복했습니다.
십자인대 파열은 단 한 번의 점프나 회전만으로도 발생할 수 있습니다. 중년기 이후의 중·대형견은 관절염과 근육 약화로 인해 재발 위험이 높습니다. 환자처럼 우리 반려견의 보행에 이상이 느껴진다면, 조기에 정확한 진단과 치료를 통해 다시 건강한 일상을 되찾을 수 있습니다.
강아지 TPLO 수술이 궁금하다면, 울산 동물병원 라온동물메디컬센터
전문적인 수술과 더불어 보호자님의 철저한 체중 관리와 계획적인 재활 노력이 함께한다면, 우리 강아지는 틀림없이 활기차게 뛰어놀던 예전의 모습을 되찾을 수 있을 것입니다. 궁금한 점이나 추가적인 상담이 필요하시면, 언제든 저희 병원을 찾아주세요. 저희 의료진은 보호자님과 함께 아이의 건강한 회복을 위해 최선을 다하겠습니다!
📍 울산 강아지 전문 동물병원, 라온동물메디컬센터
🏥울산 동물병원 라온동물메디컬센터는 반려동물들의 건강을 책임지기 위해 최선을 다하고 있습니다.
📞 대표번호: 052-286-5050
📍 위치: 울산 중구 번영로 524 (주차 가능)
🕐 진료시간: 밤 11시까지 진료 가능
👉 수술 상담 및 예약은 전화로 문의해주세요.