안녕하세요. 울산 중구 동물병원 라온동물메디컬센터입니다.

단 한 번의 수술로 완치될 줄 알았는데,다시 다리를 절뚝이는 아이를 마주하는 것만큼 보호자에게 가슴 아픈 일은 없죠. ‘수술해도 어차피 또 빠진다더라’는 소문 때문에 수술대 앞에서 주저하게 되는 그 막막한 심정을 누구보다 잘 압니다. 하지만 분명히 말씀드릴 수 있는 것은, 재발은 결코 ‘운’의 영역이 아니라는 사실입니다. 슬개골 수술은 단순히 빠진 뼈를 끼워 넣는 처치가 아니라, 아이의 뒤틀린 보행 축을 바로잡는 ‘정밀한 역학적 재설계’가 본질이기 때문입니다.

이번 글에서는 재발의 불안을 확신으로 바꿀 수 있도록 수의사가 수술 전 어떤 디테일에 집중하는지 상세히 정리해 드리겠습니다.

왜 소형견은 슬개골 탈구가 재발하기 쉬울까요?

소형견은 선천적으로 무릎 주변의 골격이 약하고, 다리가 안쪽으로 휘어 있는 경우가 많습니다. 재발이 일어나는 가장 큰 이유는 다리의 축(Mechanical Axis)이 맞지 않은 상태에서 슬개골만 제자리에 넣어두었기 때문입니다.

활시위가 휘어져 있으면 줄이 계속 한쪽으로 쏠리듯, 다리 정렬이 틀어져 있으면 근육이 슬개골을 계속 바깥쪽이나 안쪽으로 잡아당기게 됩니다. 따라서 성공적인 수술을 위해서는 단순히 무릎을 고치는 것이 아니라 다리 전체의 힘의 방향을 재설계해야 합니다.

재발 방지를 위한 수술 설계 3대 핵심 포인트

재발을 막기 위해 다음 세 가지 기법을 아이의 상태에 맞춰 복합적으로 적용합니다.

1. 연골하 활차구 성형술 (Trochleoplasty)

슬개골이 안착할 무릎 고랑(활차구)이 평평하면 당연히 쉽게 빠집니다.

🚨 설계 포인트

단순히 깊게 파는 것이 아니라, 아이의 무릎 연골을 최대한 보존하면서 슬개골이 안정적으로 머물 수 있는 ‘V자형’ 혹은 ‘U자형’ 홈을 정밀하게 만들어줍니다.

2. 경골 조면 이식술 (TTT, Tibial Tuberosity Transposition)

재발 방지의 가장 핵심적인 단계입니다. 정강이뼈의 윗부분(조면)을 절골하여 다리 전체의 정렬이 일직선이 되도록 위치를 옮겨 고정합니다.

🚨 설계 포인트

근육이 당기는 힘의 방향을 일직선으로 맞춰줌으로써, 슬개골이 옆으로 튕겨 나가려는 물리적인 힘 자체를 제거합니다.

3. 내외측 연부조직 재정렬 (Soft Tissue Realignment)

뼈의 구조를 맞췄다면 주변 인대와 근육의 긴장도를 조절해야 합니다.

🚨설계 포인트

늘어난 바깥쪽 인대는 조여주고(중첩술), 너무 팽팽하게 당겨진 안쪽 인대는 풀어주는(외측 광근 해방술 등) 미세 조정을 통해 무릎 관절의 균형을 완성합니다.

정밀 진단: 0.1mm의 오차도 허용하지 않는 사전 설계

아이들마다 대퇴골의 휘어진 각도와 경골의 회전 정도가 모두 다릅니다. 재발 없는 수술을 위해서는 수술 전 정밀 영상 진단이 필수입니다.

강아지 슬개골탈구 좌측 교정 수술 케이스

7살, 5.9kg의 중성화 수컷 비숑 환자 B는 이미 한 차례 본원에서 정형외과 수술을 받았던 환자입니다. 작년 8월, 우측 슬개골탈구와 십자인대 단열이 동시에 확인되어 교정 수술을 진행했으며, 이후 재활 과정을 거쳐 안정적으로 회복했습니다.

하지만 최근 들어 좌측 뒷다리에서 간헐적인 불편감이 관찰되었고, 체중을 완전히 싣지 못하는 모습이 점차 잦아졌습니다. 보호자님께서 이상을 인지하고 재내원하셨습니다.​

정형외과 평가 및 진단

내원 당시 보행 분석과 무릎 촉진 검사를 시행했습니다. 우측은 수술 부위가 안정적으로 유지되고 있었으며, 관절 정렬과 기능 모두 양호한 상태였습니다.

​반면 좌측 슬관절에서는 슬개골 탈구가 반복적으로 확인되었고, 이전보다 탈구 정도가 진행된 양상이 관찰되었습니다. 방사선 촬영을 통해 구조적 변화를 확인한 결과, 좌측 슬개골탈구가 명확히 진단되었습니다.

​B는 과거 우측 수술 후 좋은 회복 경과를 보였지만, 반대편 무릎은 시간이 지나면서 점진적으로 악화된 사례였습니다.

​슬개골탈구는 양측성으로 나타나는 경우가 많아, 한쪽 수술 이후에도 반대편 진행 여부를 지속적으로 관찰하는 것이 중요합니다.현재 단계에서는 수술적 교정이 필요하다고 판단하였고 보호자님과 현재 진행 정도, 수술 방법, 회복 과정에 대해 충분히 상의한 뒤좌측 슬개골 교정 수술을 결정했습니다.

수술 계획 및 준비

마취 전 혈액검사 및 방사선 검사를 통해 전신 상태와 수술 적합 여부를 확인했고 특이 이상 없이 안정적인 상태로 확인되었습니다.

수술 전 혈액검사 / 출처: 라온동물메디컬센터

수술 전 흉부방사선 검사 / 출처: 라온동물메디컬센터

수술 및 회복 과정

슬개골수술 사진/ 출처: 라온동물메디컬센터

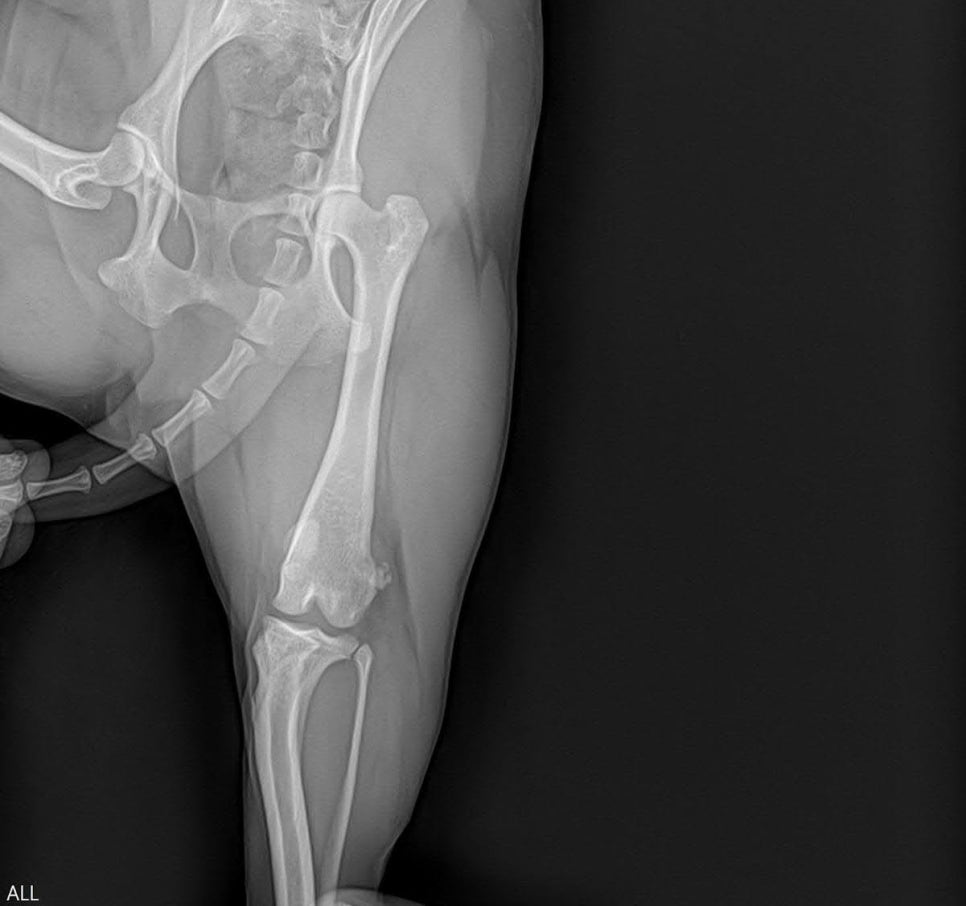
좌측 슬개골탈구 교정 수술은 계획에 따라 진행되었습니다. 무릎 정렬을 바로잡고 슬개골이 정상 위치에 안정적으로 유지되도록 교정했으며, 수술 과정은 특별한 합병증 없이 마무리되었습니다.

수술 후 방사선 사진/ 출처: 라온동물메디컬센터

수술 후에는 5일간 입원하며 통증 조절, 상처 관리, 초기 보행 재활을 병행했습니다. 과거 우측 수술 경험이 있어 보호자님께서도 회복 과정을 잘 이해하고 계셨고, 재활 협조도 매우 원활했습니다. 입원 기간 동안 점진적으로 체중 지지가 가능해졌고, 퇴원 시점에는 안정적인 보행이 확인되었습니다.

이번 사례는 한쪽 수술 후 반대편 슬개골탈구가 시간 경과에 따라 진행된 경우로, 슬개골탈구가 가진 양측성 특성을 잘 보여주는 케이스입니다. 초기 수술 후에도 정기적인 추적 관찰을 통해 반대편 관절 상태를 확인하는 것이 장기적인 보행 안정성과 관절 건강을 유지하는 데 매우 중요합니다.

수술 후 8주, 보호자의 관리가 수술을 완성합니다

수술이 아무리 완벽해도 회복기에 관리가 되지 않으면 재발의 원인이 될 수 있습니다.

  1. 철저한 운동 제한: 뼈가 완전히 붙는 수술 후 4~6주 동안은 점프, 우다다, 계단 이용을 엄격히 금지해야 합니다.
  2. 체중 조절: 체중이 1kg 늘어날 때마다 무릎 관절이 받는 하중은 몇 배로 커집니다. 수술 후 체중 감량은 선택이 아닌 필수입니다.
  3. 환경 개선: 미끄러운 바닥은 다리 정렬을 다시 무너뜨립니다. 집안 전체에 논슬립 매트를 시공하여 안정적인 보행을 도와야 합니다.

재발 없는 수술은 정확한 원인 파악에서 시작됩니다

슬개골 탈구 수술은 난이도가 높은 정형외과 수술입니다. 단순히 ‘수술을 했느냐’보다 ‘우리 아이의 비정상적인 역학 구조를 어떻게 정상으로 재설계했느냐’가 수술의 성패를 가릅니다.

재발에 대한 두려움 때문에 치료 시기를 놓치면 십자인대 단열이나 중증 관절염으로 진행되어 수술이 더 힘들어질 수 있습니다. 숙련된 수의사와의 충분한 상담을 통해 아이에게 꼭 맞는 수술 플랜을 세워주세요.

📍 울산 강아지 관절 전문 동물병원, 라온동물메디컬센터

울산 동물병원 라온동물메디컬센터는 반려동물들의 건강을 책임지기 위해 최선을 다하고 있습니다.

  📞 대표번호: 052-286-5050
  📍 위치: 울산 중구 번영로 524 (주차 가능)
  🕐 진료시간: 밤 11시까지 진료 가능
  👉 수술 상담 및 예약은 전화로 문의해주세요.

글쓴이