안녕하세요. 울산 강아지 관절 전문 동물병원 라온동물메디컬센터입니다.
“가끔 한쪽 다리를 들고 걷던 강아지가 요즘은 다리 모양이 좀 이상한 것 같아요.” 이런 말씀을 가지고 내원하시는 보호자분들이 많습니다. 슬개골탈구는 증상이 없어 보여도 속으로는 조금씩 진행되는 질환입니다. 단순히 무릎뼈가 빠졌다 들어오는 문제로 끝나지 않고 시간이 지나면 뼈와 관절의 구조 자체가 변형될 수 있습니다.
오늘은 슬개골탈구를 방치했을 때 일어나는 무서운 골격 변화와 단계별 진행 과정에 대해 꼼꼼히 짚어드리겠습니다.

슬개골탈구란 무엇인가요?
슬개골은 무릎 앞쪽에 위치한 작은 밤알 모양의 뼈입니다. 대퇴사두근과 연결되어 무릎이 부드럽게 펴지고 굽혀지도록 돕는 지렛대 역할을 하죠. 정상적인 경우, 이 슬개골은 허벅지뼈(대퇴골)에 있는 깊은 홈인 활차구(Trochlear groove) 안에 쏙 들어가 있어야 합니다.
하지만 유전적 요인이나 외상으로 인해 이 뼈가 홈 밖으로 탈출하는 것을 슬개골탈구(Patellar Luxation)라고 합니다. 특히 우리나라에서 많이 키우는 말티즈, 포메라니안, 푸들 같은 소형견들은 대부분 무릎 안쪽으로 빠지는 ‘내측 슬개골탈구’를 앓고 있습니다.

슬개골탈구 1~4기, 단계별 특징
슬개골탈구는 진행 정도에 따라 총 4단계로 나뉩니다. 숫자가 커질수록 뼈의 구조적 변형이 심화됩니다.
- 1기 (간헐적 탈구): 평소엔 제자리에 있다가 아주 가끔 빠집니다. 손으로 밀면 빠지지만 놓으면 즉시 돌아오죠. 일상 증상이 거의 없어 놓치기 쉽습니다.
- 2기 (자주 빠지고 돌아옴): 활동할 때 스스로 빠졌다가 뒷다리를 털거나 펴면 다시 들어갑니다. 한쪽 다리를 들고 뛰는 ‘스킵(skip) 보행’이 시작되는 시기입니다.
- 3기 (항상 빠져 있음): 슬개골이 상시 탈구된 상태입니다. 손으로 밀어 넣어도 금방 다시 빠져버립니다. 이미 근육과 인대가 비정상적인 위치에 적응하여 다리가 눈에 띄게 휘기 시작합니다.
- 4기 (고정 탈구 및 변형): 슬개골이 완전히 밖으로 고정되어 손으로도 복구가 불가능합니다. 뼈의 변형이 심해 다리를 제대로 펴지 못하고 웅크린 채 걷게 됩니다.

방치하면 생기는 치명적인 골격 변화
왜 슬개골이 제자리에 없는 것만으로 뼈 모양이 바뀔까요? 정답은 ‘비정상적인 하중’에 있습니다. 무릎을 지탱해야 할 힘이 엉뚱한 방향으로 쏠리면서 뼈가 그 방향으로 휘어서 자라게 됩니다.
주요 골격 변화 리스트
활차구 평탄화
슬개골이 자꾸 홈을 타고 넘나들면서 홈이 점점 깎여 얕아집니다. 나중에는 홈이 아예 사라져 슬개골이 안착할 곳이 없어집니다.
경골 조면 내측 편위
종아리뼈(경골) 윗부분의 인대 부착 부위가 안쪽으로 돌아갑니다. 무릎의 정렬 축 자체가 틀어지는 핵심 원인입니다.
대퇴골 및 경골의 비틀림(Torsion)
다리뼈 자체가 빨래를 짜듯 회전하며 비틀립니다. 이로 인해 다리가 O자 혹은 X자 형태로 휘게 됩니다.

이차성 골관절염
연골이 지속적으로 마찰하며 손상되어 염증이 생기고 관절 주변에 뾰족한 뼈(골극)가 생겨 만성 통증을 유발합니다.
대퇴사두근 위축
아픈 다리를 덜 쓰다 보니 허벅지 근육이 마르고 이는 다시 관절의 지지력을 약화시키는 악순환을 만듭니다.
보호자가 눈으로 확인할 수 있는 변화
엑스레이를 찍기 전에도 아이의 행동에서 이상 신호를 감지할 수 있습니다.
✔️ 앉아 있을 때 무릎이 옆으로 툭 벌어지거나 자세가 대각선으로 삐딱합니다.
✔️ 걸을 때 뒷모습을 보면 뒷다리 무릎이 서로 마주 보듯 안쪽으로 모입니다.
✔️ 산책 중 갑자기 한쪽 다리를 들고 서너 걸음 뛰다가 다시 내딛습니다.
✔️ 소파나 침대에 점프하는 것을 주저하거나 계단을 오를 때 엉덩이를 실룩거립니다.

이런 행동들이 보인다면 증상이 가볍더라도 한 번쯤 정형외과 검진을 받아보시길 권장드립니다. 아래 케이스처럼 겉으로 괜찮아 보이다가 갑자기 말기로 진행되는 경우가 실제로 있거든요.
슬개골탈구 방치 후 말기 진행 치료 케이스
환자는 6세의 중성화 암컷 치와와 환자로 2년 전, 슬개골탈구 3기로 진단을 받았습니다. 당시 보호자님 주변에서 “슬개골 수술은 해도 재발한다더라, 하지 말라”는 이야기를 들으셔서 수술을 결정하지 못하고 경과를 지켜보셨다고 하셨습니다.
이후 보행이 크게 불편해 보이지 않았기 때문에 보호자님도 별다른 이상이 없다고 생각하고 계셨습니다. 그런데 최근 들어 갑자기 보행이 눈에 띄게 불편해졌고 걱정이 된 보호자님께서 내원하셨습니다.



수술 전 다리 사진 / 출처: 라온동물메디컬센터
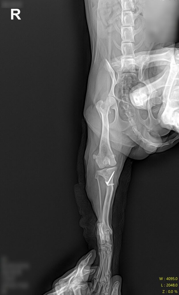
📌검사 및 진단


마취 전 방사선 검사 / 출처: 라온동물메디컬센터
정형학적 검사와 방사선 영상 검사를 진행한 결과, 슬개골탈구 4기(말기, terminal) 소견이 확인되었습니다. 슬개골이 완전히 고정 탈구된 상태였고, 활차구의 심각한 평탄화와 경골 조면의 내측 편위, 다리뼈의 비틀림이 동반되어 있었습니다.
2년 전 3기 진단 당시와 비교하면 그 사이 조용히, 그러나 빠르게 진행된 것이었어요. 보행이 크게 불편해 보이지 않았던 이유는 강아지가 변형된 뼈 구조에 스스로 적응하며 걷고 있었기 때문입니다.
보호자님과 충분한 상담을 진행하였습니다. 슬개골탈구는 기수(1→4기)가 올라갈수록 수술 후 재발 위험이 높아지고 관절이 이미 손상된 상태에서 수술을 진행하게 되므로 예후가 좋지 않을 확률도 올라간다는 점을 솔직하게 안내해드렸습니다. 그럼에도 현재 상태에서는 수술적 교정이 유일한 치료 방법이었고, 보호자님과 함께 수술을 진행하기로 결정했습니다.



수술 전 혈액검사 결과 / 출처: 라온동물메디컬센터
마취 전 혈액검사와 방사선 검사를 통해 마취 가능 여부와 전신 상태를 확인하였습니다.
📌치료 — 슬개골탈구 수술 진행




슬개골탈구 수술 사진 / 출처: 라온동물메디컬센터
4기 슬개골탈구 교정을 위해 복합 술식을 진행하였습니다. 활차구를 깊게 다듬는 활차구 성형술, 틀어진 정렬 축을 바로잡는 경골 조면 이전술을 병행하였으며 변형 정도에 따라 뼈의 각도를 교정하는 처치도 함께 이루어졌습니다.



수술 후 방사선 사진 / 출처: 라온동물메디컬센터
수술 후에는 통증 관리와 함께 단계적인 재활 프로그램을 진행하며 체중 부하와 보행 회복 과정을 면밀히 모니터링하였습니다.
📌퇴원 시 보호자 안내 사항
• 수술 후 최소 6~8주는 리드줄 산책 외 점프, 계단, 달리기 엄금
• 미끄러운 바닥 전면 미끄럼 방지 매트 설치
• 체중 관리 철저 — 관절에 가해지는 부하를 줄이는 것이 회복의 핵심입니다
• 정기적인 방사선 추적 검사 (수술 후 6주, 3개월, 6개월)
• 이차성 골관절염 관리를 위한 관절 보조제 병행
💡 환자의 케이스처럼 슬개골탈구는 보행이 크게 불편해 보이지 않더라도 속으로는 조금씩 진행되고 있을 수 있습니다. 3기 진단 이후 수술을 미루는 사이, 관절은 돌이키기 어려운 상태로 변해가고 있었던 거예요. 수술을 고민하고 계신다면, ‘지금’이 가장 이른 시점입니다.
단계별 치료 및 수술 방향
슬개골탈구는 단계가 높을수록 수술 난이도가 기하급수적으로 올라갑니다.
- 1기: 체중 조절과 미끄럼 방지 매트 설치 등 보존적 관리를 하며 정기 검진을 받습니다.
- 2기: 증상의 빈도에 따라 수술을 결정합니다. 성장기 아이라면 뼈가 더 변형되기 전에 조기에 교정해 주는 것이 예후가 가장 좋습니다.
- 3~4기: 반드시 수술적 교정이 필요합니다. 단순히 뼈를 맞추는 것뿐만 아니라, 활차구 성형술(홈을 깊게 파는 술식), 경골 조면 이전술(틀어진 축을 바로잡는 술식), 심한 경우 뼈를 깎아 각도를 맞추는 절골술이 병행됩니다.
강아지는 본능적으로 통증을 숨깁니다. 절뚝거리지 않는다고 해서 아프지 않은 것이 아니라, 변형된 뼈 구조에 적응하여 불편하게 걷고 있는 것일 수 있어요. 우디처럼 ‘보행이 괜찮아 보여서’ 기다리는 사이, 관절은 수술 후 예후까지 달라질 만큼 손상되어 있을 수 있습니다.
특히 소형견을 키우신다면 생후 6개월 이후부터는 정기적인 정형외과 검진을 권장드립니다. 활차구가 평평해지고 뼈가 휘어버린 뒤의 수술은 회복 기간도 길고 아이도 힘듭니다. 작은 ‘스킵 보행’ 하나라도 놓치지 않는 보호자님의 세심한 관찰이 우리 아이의 10년 뒤 걸음걸이를 결정합니다.

📍 울산 강아지 관절 전문 동물병원, 라온동물메디컬센터
울산 동물병원 라온동물메디컬센터는 반려동물들의 건강을 책임지기 위해 최선을 다하고 있습니다.
📞 대표번호: 052-286-5050
📍 위치: 울산 중구 번영로 524 (주차 가능)
🕐 진료시간: 밤 11시까지 진료 가능
👉 수술 상담 및 예약은 전화로 문의해주세요.